2.7.12. Неводничі, Видубичі, Нижня Теличка, Покал, Галерний острів, острови Жуків, Чернечий (Водників), Конча-Заспа та ін. в період 1921-1941 рр.
Парнікоза І.Ю.
Неводничі, Нижня Теличка, Покал, Галерний острів. На мапі 1923 р. ми бачимо територію сучасного Наводницького парку, як прибережну мілину. На території урочища Теличка два озера – одне майбутнє Видубицьке та друге (озеро Теличка, інші назви Старик або Печерське), яке згодом буде засипане.
На мапах 1925 р. видно, що територія сучасного Наводницького парку являла собою прибережну піщану мілину з неправильними абрисами.
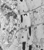
Рис. 2.7.12.1. Північна частина району сучасного Наводницького парку на топографічній основі 1925 р.: 1- міст ім. Є. Бош, 2 – піщані мілини та береги в районі на північ від гирла річки Неводничі
Станом на 1920-30 рр. Лисогірський рукав фактично відмер. Дніпровська затока – дещо трансформоване реліктове нагадування про початок колишнього Лисогірського рукава. На зламі 1920-х-30-х рр. – Лисогірська стариця Дніпра була з’єднана вузькою протокою з озером Теличка. За 10 років її було сполучено з Дніпром для потреб деревопереробного комбінату. Назва з лоцманських схем 60-х рр. ХХ ст. Довжина понад 400 м. ширина до 130 м (Вакулишин, 2014).
На мапі 1932 р. промислова зона в колишньому гирлі р. Либідь носить назву «пригород Теличка». В 1930-х рр. в північній частині сучасного урочища Нижня Теличка працював деревопереробний комбінат, до якого з півночі було прокладено дві залізничні гілки. Зберігалося і вищезгадане озеро Теличка.
Деревопереробне підприємство було засноване на Теличці під час Першої світової війни серед заплавних лук. В 1930-тих рр. являло собою потужний комбінат – первенець сучасної промзони на намивному ґрунті (Вакулишин, 2014).
На лоції 1934 р. на території урочища Теличка на південь від Дарницького залізничного мосту показаний лісопильний завод, до якого прокладено залізничні колії. Острів Малий складається з чотирьох окремих острівців (імовірно, верхівки однієї і тієї ж мілини). Вище Дарницького залізничного мосту показаний також Дарницький перекат на Дніпрі. На території Телички показано озера Видубицьке та Теличка.
На мапі Києва 1932 р. показано болотисті ділянки на схід від Корчуватської промзони, розміщені по колишній трасі Лисогірського рукава. Це викликало зміну конфігурації гирла р. Либідь, що змушена, звиваючись, пробиватися через перевідкладений біля правого берега матеріал суч. урочища Покал до Дніпра. Виникла велика низинна заплавна територія, яка тягнулася від Дарницького залізничного мосту до решток вищевказаного рукава – Галерної затоки та включала сучасні урочища Нижня Теличка, Покал та Галерний острів. Дана територія мала заплавний характер та затоплювалася водами Дніпра навесні. При цьому озера стариці ставали протоками. Це призводило до відкладання піщаних валів та виникнення тимчасових річищ. На мапі 1932 р. Покал має позначки висоти від 90,2 до 94,8 м, а на південь від промислової зони на Теличці знаходилися піщані дюни. Під схилами Лисої та Багринової гір показано численні озера-кар’єри цегельних заводів.
Наявні відомості про те, що в 1920-х рр. на Либіді існував риборозплідник. Про це свідчить той факт, що в 1929 р. керівником подібного заводу, що діяв в заповіднику «Конча-Заспа», став П. Зависловський, який раніше працював завідувачем рибного розплідника «Либідь» у м. Києві (). Можливо, цей розплідник існував там де зараз існують риборозвідні ставки та діє відповідне господарство на о. Галерний (озеро Єрик).
Д. Гуленко (2001) описує, що у 1920-ті рр. під Лисою горою проходила вузькоколійна залізнична колія, якою ходив паровоз із трьома платформами, що перевозив дрова від Корчуватого до території поблизу Байкового цвинтаря, де наразі розташований таксомоторний парк. С. Вакулішин (2014) згадує хутір Галерний острів та вказує, що на Галерному острові розташовувався радгосп першої половини 1920-х рр. (тоді Галерний острів перебував у складі Мишоловської сільради Будаївського району).
Рис. 2.7.12.3. Сучасне урочище Наводницький парк – тоді узбережжя Дніпра -1, острів Малий (Верби) – 2, Наводницький дерев’яний міст (Бошок) – 3, на топографічній основі Києва 1930-ті рр.
На мапі 1923 р. не показано острів Малий, натомість показано сучасний острів Великий Південний. В південній частині, якого зазначено озера.
Рис. 2.7.12.5. Фрагмент правобережної заплави – урочище Теличка на топографічній основі 1925 р.: дамба, яка була зведена для будівництва Дарницького залізничного мосту – 1, Видубицьке озеро, що утворилося з перекритого головного річища Дніпра – 2
Рис. 2.7.12.7. Видубичі на плані Києва 1935 р.: 1 – територія суч. Наводницького парку вище тогочасного дерев’яного Наводницького моста, 2 – урочище Нижня Теличка, 3 – сучасний острів Великий Південний
Рис. 2.7.12.9. Район Телички, Покалу, Галерного острова на мапі Києва 1932 р.: 1 – деревопереробний комбінат на Нижній Теличці, 2 – озеро Теличка, 3 – пригород Теличка та дорога на дамбі вглиб урочище Покал, 4 – озера в гирлі Либіді (імовірні відстійники Каналізаційних вод), 5 – кар’єрні озера під Лисою та Багриновою горами, 6 – хутір Покал під кручею Лисої гори, 7 – хутір підписаний як Осокорки, 8 – озеро Єрик – староріччя Лисогірського рукава Дніпра, 9 – Миколайчик – одна за заток, якою впадала річка Либідь, 10 – сучасний півострів Гострий, 11 – Галерний острів та затока Старик – релікт колишнього Лисогірського рукава Дніпра, 12 – Мишоловка (Коник), 13 – острів Жуків з хутором Жуківка,14- острів Чернечий, 15 – колгосп Новий Світ
Рис. 2.7.12.10. Заплановані роботи на київському заплавному правобережжі – Нижній Теличці-Покалі згідно до генерального плану реконструкції Києва 1936 р.: показано заплановані портові ковші (вони утворювалися шляхом вибирання ґрунту, для підсипання навколишньої території вище рівня повеней) та вирівнювання та прокладання штучного гирла Либіді (раніше Либідь впадала у річку Дніпро під Лисою горою) аж до Корчуватого
Либідь звивалась у новому продовженому руслі спочатку на схід, де розділялася на дві гілки, а потім знову з’єднувалася в одне русло і круто повертала на південь. Тут, вона вливалась до колишньої протоки між Галерними островами, що у порівнянні з кін. ХІХ ст. відхилилася на схід і впадала до Дніпра біля входу до Галерної затоки. Гирло цієї протоки названо на радянській мапі 1932 р. затокою Миколайчик і відповідає сучасній затоці на захід від півострова Гострий (сучасна затока Рибників – назва наша). При цьому, звичайно, сучасна затока ширша. Таким чином, сучасне використання гідроніму «затока Миколайчик» по відношенню до суч. Галерної затоки (що станом на ХІХ ст. носила назву Чернечої) є неправомірним.
Як вказує С. Вакулишин (2014) назву Миколайчик пам’ятали старожили Коника (2000).
Мапа 1932 р. зафіксувала для сучасної Галерної затоки ще один гідронім – затока Старик. При цьому її відгалуження, що відповідає сучасному оз. Єрик, на тогочасній мапі не підписане. Фактично, воно являє собою рештки гирла первісної протоки між обома Галерними островами станом на 1871-1873 рр., тобто до відхилення головної течії цієї протоки на схід.
С. Вакулішин (2014) пише, що обриси Єрика склалися у 1920-ті рр. Він перетинає з північного-сходу Галерний острів. Імовірно, за свою характерну форму озеро Єрик тоді носило народну поточну назву – озеро Штані. На думку С. Вакулішина саме воно, зокрема згадано в творі О. Бойченка «Молодість» (1941): «весняна повінь з’єднала озеро з Дніпром. Коло озера було тихо і пустельно».
Станом на 1932 р. топонім острів Галерний перейшов до найбільш південно-західного масиву колишніх островів, з яким асоціюється і по сьогодні. Через усю заплаву проходив вищезгаданий каналізаційний колектор прокладений на поч. ХХ ст. На території Галерного показано окрему будівлю. Імовірно, це згаданий С. Вакулішиним (2014) хутір Галерний острів. Станом на 1939 р. його населення становило 5 осіб.
Цікаве зображення сучасного півострова Гострий знаходимо на мапі 1923 р. Він показаний тут як півострів з неправильними абрисами. Імовірно, такі абриси зумовлені поєднанням зображення острова в дельті гирла Либіді та прибережної мілини на Дніпрі. Ці деталі зазначені на пізніших зображеннях.
На місці Корчуватого на мапі 1932 р. показано поодиноку забудову, на південь від нього знаходиться кар’єрне озеро – сучасне Лукрець та озеро по Моторному переулку. Між ними показано кілька сухих кар’єрів для видобутку глини. На вказаній детальній мапі 1932 р. можна побачити вищеописану гілку залізниці у підніжжя наддніпрянських гір урочищем Покал. В цей час вона доходила лише до Мишоловки (можливо показана не достовірна). Імовірно, це вже повноцінна залізнична гілка, на яку було замінено попередню вузькоколійку. Вірогідно, вона була добудована та експлуатувалася також у зв’язку з реалізацією будівництва Наркомату шляхів сполучення (НКШС) №1 (Залізничні тунелі під Дніпром) у передвоєнні роки. Адже відомо, що на території Жукового острова (тут і поблизу знаходилися ділянки будівництва – титули) було розміщено енергопоїзди. Для цього було прокладено залізничні колії (див. ). В добудованому вигляді цю гілку залізниці ми можемо побачити на схемі дій Пінської військової флотилії по обороні Києва складеній В. Спичаковим (Спичаков, 2009).
Рис. 2.7.12.11. Гілка залізниці (Германівська) під Лисою горою станом на 1941 р., за (Спичаков, 2009). Наявність цієї вузькоколійної гілки, що прокладалася для сполучення Києва та цукрового заводу в Германівці (відрізок до Корчуватого) дозволила використати при обороні Києва у 1941 р. броньовані потяги. Наразі тут проходить залізнична колія Київ-Дніпро
В той же час на мапах 1943 р., як німецькій так і радянській, ця гілка залізниці або не показана (німецька мапа), або показана як така, що доходить лише до Мишоловки (сучасне Корчувате) – радянська мапа.
Сучасна Нижня Теличка, Покал та Галерний острів потрапили в перелік включених до розробки Генерального плану м. Києва 1936 р. Ось як вони описуються у ньому:
Рис. 2.7.12.13. Заплановані роботи на Нижній Теличці-Покалі згідно до генерального плану реконструкції Києва 1936 р.: показано профілі підсипки урочища Теличка – Покал
«Теличанська площадка розташовується на заплаві річки Дніпра і обмежується з східного боку Дніпром а з заходу селом Корчуватим та Лисою горою. Домінуючі відмітки коливаються в межах 92-95 м, при цьому територія в значній мірі порізана староріччями та западинами. Максимальний горизонт весняних вод на даній ділянці біля 97 м, а середньо-високий – 94 м. Проблема освоєння цієї ділянки площею біля 700 га (не рахуючи розташованих всередині ковшів), вирішується суцільною підсипкою. Мінімальна проектна відмітка прийнята за 97 м, і лише на ділянці, відведеній під очисні споруди, прийнята середня висота підсипки 96 м. Для підсипок цієї території необхідний ґрунт в кількості більше 29 млн. кубічних метрів».
Ковшами в даному описі називаються – портові конструкції – затоки, які передбачалося вибрати, для влаштування гаваней та отримання ґрунту для підсипки: ківш №2 – північний пізніше реалізований у вигляді затоки Будіндустрії та ківш №1, який трасою Галерної затоки мав увійти в тіло урочища Покал з Півдня в районі позначеного на лоціях 1980-х рр. рейду Б. Дані затоки планувалися як третя найбільш південна частина нового Київського порту. Водність Дніпра мала зрости в результаті продовження заходів з відхилення головної течії Дніпра до правого берега, розпочатих ще в ХІХ ст. Пропускна здатність порту на Теличці мала стати другою після північного порту. Загальна довжина причальної лінії мала скласти 1945 м. Конфігурація та об’єм ковшів планувалися і з розрахунку на обсяги ґрунту необхідного для підсипки даного району. Окрім цих ковшів було заплановано також окремі причали для прийому нафто вантажів з загальною довжиною причальної лінії 515 м. Відмітка портової території біля ковшів прийнята в 97,6 м. тобто незатоплювана на 0,13 м. при самому високому рівні весняного розливу. Кількість ґрунту отриманого від побудови ковшів складе 8 млн. куб. м, з яких для утворення портової території орієнтовно потрібно 3 млн. 150 тис. (Пояснительная.., 1936).
План 1936 р. передбачав і реконструкцію каналізаційної системи:
«Сучасне очищення Києва не являє закінченої системи і поставлене далеко не задовільно: вивіз рідких нечистот здійснюється на слизний пункт в районі Саперної слобідки між підніжжям Лисої гори та гирлом Либіді; нечистоти проходять відстійник і надходять в Либідський каналізаційний колектор і далі в Дніпро» (Пояснительная.., 1936).
Реконструкцію системи очищення планувалося здійснити шляхом зведення сміттєспалювальних станцій, одна з яких з добовою пропускною здатністю 180 т. мала бути збудована на тому ж Теличанському майданчику. По відношенню до зливу рідких нечистот план передбачав зокрема будівництво двох зливних станцій у Лисої гори.
Проектом передбачалося і регулювання малих річок Києва, перш за все Либіді. Якщо в верхній течії Либідь забиралася в колектор, то на головній течії до Лисої гори її русло поглиблювалося на 3 м, у Лисої гори проектне дно співпадало з природним дном, а в районі Телички Либідь мала пройти через промислову площадку з вищеописаною проектною підсипкою берегів на 3-4 м.
В 1938 р. поруч з попередньою чавунною трубою каналізації у долині Либіді проклали ще одну. Вони використовуються і наразі. Станом на 1960 рр. фекальні стоки з них у Дніпро становили 2 м3 в секунду. Після вводу в дію в кінці 1960-х рр. Бортницької очисної системи основну частину фекальних стоків у трубах під Дніпром відвели туди, але в Либідь і сьогодні без будь-якого очищення впадають ще близько 70 великих і малих стоків, склад води в яких залишає бажати кращого.
Рис. 2.7.12.15. Від колишнього Лисогірського рукава Дніпра залишилися болотисті низини. Фото Парнікози І. Ю.
На німецькій мапі Києва та його околиць 1941 р., яка, напевне, фіксує ситуацію напередодні інвазії, досить умовно позначена Лиса гора. Тут позначено військові склади (178). Зокрема можна побачити будівлі та під’їзну дорогу. Також позначено розташовану під Лисою горою залізничну гілку. На території урочища Теличка біля правобережного в'їзду на Дарницький міст зазначено станцію водогону (97) та столярні майстерні (318). Подібно показана тутешня ситуація на німецькій мапі 1942 р.
Більше деталей дає німецька мапа 1943 р. На ній ми бачимо, що дамбою Видубицького озера було прокладено вулицю, саме озеро протягнулося на всю довжину від захисної дамби до насипу мосту. У той час продовжували існувати два озерця-релікти колишнього Лисогірського рукава. Вулиця Набережна вела до обмеженого ними півострова, на якому було розміщено цементне виробництво.
На зазначеній мапі 1943 р. ми також можемо також побачити острови Малий та Великий (Південний) які знаходяться точно на своєму суч. місці, проте не у своєму сучасному вигляді. На аерофотознімках тут, так як і у 1896 р., помітна велика мілина (знімок зроблений на межі 1943 р.), що існує тут і наразі внаслідок відкладання матеріалу Дніпра та Десни, які наразі зливаються нижче Венеціанського острова. Острів Великий Південний, формування якого також описано вище, станом на 1943 р. знаходився одразу за Дарницьким залізничним мостом (тобто власне там, де знаходиться і зараз). На мапі він не підписаний.
На німецькій мапі 1943 р. також позначено деталі нижньої течії Либіді та три мости на цій річці під Лисою горою. Дана мапа вдруге (вперше 1902 р.) презентує назву «Покал» для позначення забудови на території найбільш західного з Галерних островів, що на мапі підписана як «Hof Pokal», при цьому німецьке слово “Hof” означає господарський двір, садибу, хутір. Цей хутір знаходиться нижче гирла р. Либідь. Можливо виникнення цього хутора пов’язано з функціонуванням насосу для викачування мулу з розташованих тут озер, де відстоювалися фекальні стоки діючої до кінця 1960-х рр. Либідської системи каналізації.
Рис. 2.7.12.19. Район гирла Либіді та урочищ Покал-Галерний острів на німецькій аерофотозйомці 1943 р.: 1 – Видубицьке озеро, 2 – озеро Теличка, яке через затоку нижче з’єднувалося з Дніпром, 3 – деревообробний завод на Теличці, 4 – сучасний острів Великий Південний, 5 – селище Нижня Теличка в колишньому гирлі річки Либідь, 6 – поля селища Нижня Теличка, 7 – новий відрізок течії річки Либідь, 8 – західний рукав гирла річки Либідь в затоці Миколайчик, 9 – хутір Покал, 10 – хутір Острів на прирусловому валу, 11 – незакріплені піски, 12 – поля на південь від хутору Покал, 13 – Корчуватська промзона, 14- озеро Єрік та острів Галерний (основа за http://www.wwii-photos-maps.com/kievaerialscans)
Рис. 2.7.12.20. Район гирла Либіді та урочищ Покал-Галерний острів на німецькій мапі 1943 р.: 1 – колишня Печерська коса – сучасний Наводницький парк, 2 – Видубицьке озеро, 3 – озеро Теличка та розташований на схід від нього деревообробний завод, 4 – острови Малий, 5 – сучасний острів Великий Південний, 6 – селище Нижня Теличка в колишньому гирлі річки Либідь, 7 – новий відрізок Либіді через урочище Покал, 8 – хутір Покал, 9 – хутір Острів, 10 – Корчуватська промзона – цегельні та сучасне озеро Лукрець, 11 – озеро Єрік та Галерний острів, 12 – місці виходу каналізаційної мережі та затока Миколайчик, 13 – затока Старик, 14 – хутір Коник (Старовинні.., 2010)
С. Вакулішин (2014) подає таку інформацію відносно цього хутора: Покіл – хутір серед дюн заплави Дніпра нижче гирла Либіді. Виник на зламі 1920-30-х рр., назва – з 2-ї половини 30-х рр. Станом на 1932 р. – понад 20 дворів. У середині 60-х рр. на місці Покалу розпочато будівництво ТЕЦ-5. Варіанти написання топоніма (корінь слова =«глина»): Покал – на німецькій мапі 1943 р., Покол – на схемі міста виробництва ГУГК (1989).
На німецькій мапі 1943 р. на схід від нового гирла Либіді на східному узбережжі новосформованого правобережного заплавного масиву показаний хутір – Острів: «Hof Ostriw», який попередньо носив назву Осокорки. На території Галерного острова попереднього хутора не показано.
С. Вакулишин (2014) вказує на топонім Осокорки, як робочу назву селища Острів протягом 30-х рр. ХХ ст.:
Острів – селище для переселенців з села Осокорки. Виникло 1931 ніби на острові між правому березі та ланцюжком озер: одна вул. (паралельно Дніпру) з близько 20 дворів. У 1-й половині 40-х рр. розвиток Острова був порівнювальний з Берківцем чи Биківнею (Вакулишин, 2014).
Сучасне Корчувате на німецькій мапі 1943 р. назву хутір Коник. С. Вакулишин (2014) вказує, що Коник – це селище на південь від Корчуватого. У 1925 р. чисельність його населення становила 500 мешканців. У 1932 р. тут налічувалося 67 дворів. З початку ХХ ст. до 1920-х рр. тут існував понтонний табір. У 1920-ті рр. ХХ ст. Коник перетворився на пролетарський рибацький хутір. Тут з 1926 р. знаходилася дача П. Саксаганського. Чверть населення вимерло під час Голодомору. До міської смуги Коник включено 1933 р. Під час Другої світової загинуло близько 50 осіб.
Робітників цегелень історичного Корчуватого (на північ від Коника) рятувало від Голодомору 1932-33 рр. підсобне господарство. Тоді рятувалися щавлевою юшкою та соєю (Гонський, 2008).
Рис. 2.7.12.21. Заплава в районі Неводничів-Галерного острова німецькому аерофотознімку 01.01.1944 р.: 1 – колишня Печерська коса – сучасний Наводницький парк, 2 – дамба Видубицького озера та Видубицьке озеро, 3 – озеро Теличка (Старик), 4 – територія деревообробного комбінату, 5 – острів Великий Південний (Люб’язно надано А.В. Вяльцем)
Рис. 2.7.12.22. Заплава в районі Неводничів-Галерного острова на німецькому аерофотознімку 01.01.1944 р.: 1 – дамби, які перетинали заплаву, 2 – новий відрізок нижньої течії Либіді до Корчуватого, 3 – Лиса гора, 4 – сучасний Галерний острів, 5 – Чернеча (сучасна Галерна затока), 6 – Жуків острів, 7 – протока Коник (Люб’язно надано А.В. Вяльцем)
На німецькій аерофотозйомці території Телички-Покалу-Галерного острова 1943 р. також помітно цікаві деталі. Це зокрема поля, які розташовані в районі колишнього гирла Либіді біля пригороду Нижня Теличка. Поля тягнуться також на південь від хутору Покал по західному берегу озера Єрик. Натомість на території сучасного Галерного острова спостерігається тополеве рідколісся. Територія центрального Покалу вкрита водно-болотяною та лучною рослинністю та прорізана численними староріччями. Східне дніпровське узбережжя Покалу являло собою найвищу ділянку – прирусловий вал, що сприяло тут наявності хутора Острів (під час повені цей масив ставав островом) та деревних насаджень. Тут же по краю відкладалися та розвоювалися незакріплені дніпровські піски. Уявити собі, як виглядала ця територія, дозволяє знімок зими 1942 р.
Рис. 2.7.12.23. Вид на промислову зону на Нижній Теличці з відновленого німцями Дарницького залізничного мосту з боку лівого берега: ліворуч відкривається панорама промислової зони. За нею видніють Звіринецькі та Лисогірські схили. Кияни переходять Дніпро по кризі. Фото італійського лейтенанта Franco Pozzi, лютий 1942 р. ()
На мапах 1932 р., 1934 та 1941 р. сучасний півострів Гострий показаний як острів між двома рукавами гирла р. Либідь. Його площа на той момент складала майже 52 га. Це може наводити на думку про можливість його поступового збільшення за рахунок відкладання алювію річки Либіді. На німецькому аерофотознімку Києва серпня-вересня 1941 р. ми можемо побачити, що сучасний півострів Гострий і далі був островом розташованим між двома рукавами гирла Либіді. На радянських мапах 1932 та 1943 рр. західний рукав гирла річки Либідь підписаний як затока Миколайчик. Рукав гирла Либіді, що вливався безпосередньо в Дніпро (східний), імовірно, був в той час маловодним. На знімку по зовнішньому краю сучасного урочища Покал помітна також велика піщана відмілина. Цікаво також, що Осокорківська лівобережна коса на цьому знімку значно зменшилася. Імовірно, це пов’язано з забором піску для робіт на острові Водників.
Віта-Литовська. У 1932 р. – 1254 мешканців. Церкву Різдва Богородиці зачинено 1930 р. Жертви: Голодомору – понад 300 осіб (у родині, що складалася з 12 осіб, вижив тільки один), Другої світової війни – 110 осіб. Станом на 1934 -205 дворів, з яких 147- одноосібні, тоді тут розводили вівці (в єдиному селі Приміської смуги). Віто-Литовська сільрада діяла в 1931-37 рр. включала окрім Віти-Литовської ще хутори Мриги та Вільний. Площа 27 км2, 260 сільських господарств, 1524 мешканці (1932 р.) (Гонський, 2008; Вакулишин, 2014).
У зв’язку з Вітою-Литовською згадується наступні топоніми:
Деркачі – куток Віти-Литовської ліворуч Столичного шосе – біля кладовища;
Бакаловщина – лісове урочище на східному березі Віти. Назву повідомили довгожителі хутора Мриги (поч. 90-х рр.);
Геричівка – центральний куток Віти Литовської (праворуч від Столичного шосе);
Сосни – західний куток Віти-Літовської;
Штатній – північний куток Віти-Литовської (біля пункту ДАІ);
Володарка – хутір між Пироговом та Вітою Литовською – з 1930-х рр. це було володіння Братського монастиря (бл. 64 га). Населення: 1925 р. – 4 мешканців (1 двір), 1939 – 11 мешканців. Протягом 1930-х-50-х рр. у складі Пірогівської сільради (Вакулишин, 2014);
Донашка – народна назва струмка Мала Віта (Вакулишин, 2014);
Жабокруківка – східний куток Пірогова між Столичним шосе та залізницею (Вакулишин, 2014);
У 1930-х рр. біля Віти-Литовської розгорнулися колосальні роботи зі зведення відрізку південного тунельного переходу під Дніпром. На південній околиці с. Чапаєвка з’явилися чотири двоповерхові кам’яні будинки для ІТП (исправительно-трудовое поселение – авт.). Один з цих будинків ще донедавна зберігався поряд зі спортивною базою "Динамо" (Столичне шосе, 39) до нашого часу ().
Рис. 2.7.12.25. Фрагмент залишків забудови колишнього хутору Покал на території колишньої правобережної заплави у Києві. Дерев’яна дачного типу забудова та фруктові сади та городи, обнесені дерев’яними парканами. 2012 р. Фото С. Василюка
Рис. 2.7.12.27. Жуків острів на лоції Дніпра у Києві, 1934 р.: 1 – селище Коник, 2 – південна частина острова Жуків та стариця Китаївський Старик, 3 – острів Чернечий (сучасний острів. Водників), 4 – стариця Коник
Жуків острів-Конча-Заспа. Жуків острів (Жуківка) – заплавне урочище близько південного узбережжя Дніпра. Нинішня конфігурація склалася на початку ХХ ст. У північній частині Жуків острів з’єднано дамбою з правим берегом. На початку 1930-рр. тут існувала молочна ферма (Вакулишин, 2014).
Від правого берега Жуків острів відділений протокою Коник. Довжина цієї стариці Дніпра станом на середину ХІХ ст. становила близько 7 км (поч. навпроти Мишоловки, кінець на південний-схід від с. Віта-Литовська. Сучасна довжина близько 4 км. Під кінець перекрито дамбою, в південній частині з’єднується з річкою Віта і впадає в Козачу протоку (Вакулишин, 2014).
Згадуючи про дніпровські острови на початку радянської влади та у передвоєнні роки, слід приділити увагу історії створеного 1921 р. на території сучасного урочища Конча-Заспа державного рибного заповідника (який, до речі, існував ще за Російської імперії), див. ). Для того, щоб зупинити спустошення, викликане революційним хаосом, І.Н. Фалієв домігся від Народного комітету землі УРСР націоналізації Конча-Заспи, а у лютому 1921 р. Народний комітет землеробства передав усі угіддя під Дослідну рибну станцію. Ідея охорони рибних запасів визріла у І.Н. Фалієва давно. Так, у своїй ґрунтовній статті «Днепровское рыбоводство» (1895) він вказував:
«Само собою разумеется, что заповедные места должны быть охраняемы. Возле Киева есть места, которые достойны были бы обращения в заповедные, а именно: 1) залив Лещевка, 2) озеро Конча и 3) озеро Заспа (…). Еще как на меру охраны рыбы и вместе с этим на укрепление берегов можно указать на очень желаемое сохранение растительности по берегам pек, заливов и озер».
Трохи пізніше завдяки апеляції до не контрольованості місцевого селянства, після піврічної боротьби членів президії СГНКУ: професорів М. Веселовського, А. Носіва, І. Щоголіва та найактивнішого з них Олександра Янати з Губвиконкомом і господарськими установами, 29 грудня 1921 р. було прийняте рішення НКЗ УРСР:
«Учитывая громадное значение озера «Конча-Глушец», протоки “Лящивка”, урочища “Заспа” Хотовской волости Киевского уезда, как места нереста ряда пород рыб среднего течения Днепра, признать указанные угодья с прилегающей к ним землей (лугами) в количестве 150 десятин государственным рыбным заповедником».
Після Фалієва його директором став відомий вчений-зоолог Микола Шарлемань.
Рис. 2.7.12.31. Микола Шарлемань – видатний український зоолог, природоохоронець та другий директор заповідника «Конча Заспа». Автор багатьох природничо-краєзнавчих нарисів про Київ та заплаву Дніпра
Вже при ньому до заповідника було приєднано частину Вітяно-Трипільського лісництва, протоки Козача та Осетрова лука, а також мисливський заказник – острова Козачий, Круглик та урочище Молодецьке.
В топографії заповідника дозволяють розібратися мапи. Проте між ними існують деякі відмінності.
Рис. 2.7.12.33. Схема заказника ВСУМР та заповідника «Конча-Заспа» станом на 1928 р.: 1 – Жуків острів, 2 – острів Козачий, 3 – затока Диміївський Покал, 4 – луки Віти-Литовської, 5 – острів Круглик (Ольгинський), 6 – урочище Гладкий Кут, 7 – урочище Плиске, 8 – Лящівка, 9 – протока Старик, 10 – Домаський завал, 11 – Домаха, 12 – науково-дослідна станція, 13 – озеро Заспа, 14 – озеро Конча, 15 – оз. Глушець, 16 – озеро Блуква, 17 – Осетрова лука, 18 – Вітянське лісництво, 19 – протока Бистриця (Бистрик)
Рис. 2.7.12.34. Територія заповідника «Конча-Заспа» на лоції Дніпра у Києві 1934 р.: 1 – Козачий острів, 2 – рукав Козачий, 3 – перекат Жуків острів, 4 – урочище Підвербне, 5 – протока Старий Дніпро, 6 – урочище Рибальський острів, 7 – озеро Москаль та урочище Кругляк (острів Круглик – суч. Ольжин), 8 – озеро Заспа, 9 – урочище Осетрова лука, 10 – острів Гатне, 11 – перекат Осетрова лука І, 12 – перекат Осетрова лука ІІ
Рис. 2.7.12.37. І.І. Шмальгаузен, Д.О. Беллінг, Ю.М. Марковський і В.В. Совинський у заповіднику «Конча-Заспа», 1926 р.
Зокрема, згідно лоції 1934 р., сучасний острів Ольжин називався урочище Кругляк, а на схемі заповідника він носить назву «острів Круглик (Ольгинський)». Це може бути пов’язано з тим, що згідно лоції сучасний Ольжин острів тоді був сполучений з островом Козачий (сучасний острів підписаний як «Урочище Козачий острів»). Зважаючи на це, по відношенню до тодішнього Ольжиного більш правильним було вживати термін урочище. Затока між двома частинами острова Козачий-Круглик на лоції 1934 р. підписана як озеро Москаль. На схемі заповідника в південній частині острова Козачий в нього вдається затока Деміївський Покал. На півдні ж урочища Круглик знаходилася затока Домаський Завал.
В бік лівого берега на лоції позначений відділений староріччям острів Гатне. Колишнє головне річище Дніпра в описуваний період вже являло собою місце скиду вод системи р. Віта, що відділяла острів Козачий від урочища Конча-Заспа. Ця протока на схемі заповідника носить назву Лящівка (біля Козачого) та Осетрова лука (біля Ольжиного). На лоції 1934 р. вона ж називається називалася рукав Козачий (наразі Козача протока).
Рис. 2.7.12.41. Науково-дослідна станція заповідника «Конча-Заспа», кадр з трейлера фільму про заповідник «Конча-Заспа», 1928 р.
Заспа – лучна річечка, зафіксована топографами сер. ХІХ ст. Зазвичай ця назва в описуваний період вживався до мілководної стариці Дніпра площею 17 га. На відміну від свого сусіда – озера Конча, що існувало автономно від Дніпра і з’єднувався з ним лише під час (значних) повеней, озеро Заспа за картографічними пам’ятками кінця ХІХ ст. – сер. ХХ ст. – це власне дніпрова затока. На північному березі озера Заспа було збудовано Рибну станцію (1923 р., за 4 роки – науково-дослідна установа), тут також знаходилася садиба заповідника «Конча-Заспа». У 1920-ті рр. довжина цього озера становила 500 м (Вакулишин, 2014).
Назва «Заспа» польською може означати піщана дюна (дійсно, у цьому районі наявний післяльодовиковий бархан), хоча деякі інші дослідники вважають, що це слово означає пересипану піском замулену затоку).
Урочище на північ від озера Заспа на лоції 1934 р. названо «урочище Рибальський острів». На південь від нього зазначено урочище «Осетрова лука». На схемі заповідника зазначено урочище Заспа, яке з півночі обмежене луками с. Віта-Литовська, з заходу озером Глушець, півдня – озера Конча.
Два останніх топоніми відносяться до озера Конча. З південного-сходу озеро Конча проривалося в Осетрову луку (рукав Козачий) протокою Бистриця. Інша її назва – Бистрик згадана в постанові Губвиконкому (1925). Довжина 800 м, ширина – 60 м. Вперше її згадано в документі 1880 р. (Вакулишин, 2014).
Домаха – маленька стариця біля озера Заспа. Тут же на північ від озера Заспа розташовувались науково-дослідна рибна станція та садиба заповідника «Конча-Заспа», а також урочище Гладкий кут. На південь від озера Конча розташовувалися землі Вітянського лісництва та озеро Блуква.
В описі заповідника згадується також урочище Молодецьке. Як свідчить лоція 1934 р. це урочище розташовувалося на південь від сучасного острова Княжий. Як свідчить мапа 1932 р. в той час це було лівобережне заплавне урочище.
Рис. 2.7.12.43. Фрагмент заповідника «Конча-Заспа» – урочище Молодецьке (1) на лоції Дніпра в районі Києва, 1934 р. Урочище являло собою острів, відрізаний рукавом Кораблище, річкою Ржаве та рукавом Борщаг
В 1930 р. територія заповідника становила 800 га. Тоді у «Мудрому царстві Шарлеманя» (як охрестив заповідник Максим Рильський) мешкали такі нечисленні наразі борсук (Meles meles), козуля (Capreolus capreolus), орлан-білохвіст (Halietus albicilla), балабан (Falco cherrug), руда чапля (Ardea purperea), а також дуже рідкісні рибець (Vimba vimba) та стерлядь (Acipenser ruthenus). Заповіднику «Конча-Заспа» було присвячено також низку публікацій.
В 1931 р. Конча-Заспа стала державним заповідником. Проте охорону його забезпечували з трудом. Постійно втручалися господарники, а 1932 р. заповідник став жертвою варварських військових маневрів. Двадцятого грудня 1933 р. Президіум Всесоюзної академії сільськогосподарських наук прийняв рішення про об’єднання Лісостепового заповідника ім. Т.Г. Шевченка (сучасний Канівський) та «Конча-Заспи». Результатом став Середньодніпровський заповідник (Борейко, 2001). Цікаво що в заповіднику інститут Водного господарства мав вивчити водойми заповідника та вплив на них Київського колектора (Василюк, 2021).
Землі і водоймища заповідника дуже страждали від, за суттю, варварської господарської діяльності людини. Вирубувалися сотні дерев, засмічувались озера – Глушець, Заспа, Смолянці, Песчанці та інші, подрібніше. У результаті у багатьох озерах зникла риба (у тому числі, і від браконьєрського вилову), перестала гніздувати сіра чапля (Ardea cinerea), зникли бугай (Botaurus stellaris) і перепел (Perdix perdix). З часом була згорнута (через припинення фінансування і недоступності для фахівців) вся наукова діяльність. Спроба передати заповідник ВУАН провалилася – не без участі деяких учених, які очолювали провідні вузи. Між ними йшла гризня за право володіння об’єктом ().
А наступний 1934 р. став для знов створеного заповідника останнім. Столиця УРСР переїжджає до Києва, угіддя впадають в око голові ВУЦВК Григорію Петровському. Заповідник ліквідують та перетворюють на підсобне господарство ВУЦВК (Борейко, 2001). Все робилося без зайвого розголосу, у закритому режимі. Рішенням Ради Народних Комісарів Української РСР за представленням спеціальної Урядової комісії Республіканський заповідник «Конча-Заспа» передали на баланс Господарського відділу ВУЦВК.
Рис. 2.7.12.45. Окраса водної флори – латаття біле (Nymphea alba), кадр з трейлера фільму про заповідник «Конча-Заспа», 1928 р.
Прикметою перепідпорядкування стало те, що з’явилася на початку серпня всього за тиждень могутня огорожа, якою обнесли територію. Таким чином, розкішні угіддя з гарними озерами і унікальним дубовим гаєм були виведені з підпорядкування Українській Академії сільськогосподарських наук вольовим рішенням Всеукраїнського старости і голови ВУЦВК Григорія Петровського, якому сподобалася місцевість, що знаходиться у найближчих (20-30 км.) околицях нової столиці. На місці ліквідованого заповідника з’явився рибний радгосп “закритого типу”, що належав ВУЦВК.
Неважко здогадатися, що у заповіднику почали влаштовувати рибалку для сильних світу цього, топити лазню, а трохи пізніше розвернули будівництво урядових дач і господарської інфраструктури, що тяжіла до них. Заповідник, таким чином, помер de jure і de facto ().
А на згадку про нього лишився лише вірш М.Т. Рильського «Конча-Заспа» (1930-1932):
Лине Волга в синій Каспій,
Коні сіно споживають…
Хай життя на Конча-Заспі
Так же само люди знають!
Що було там за Богдана,
Хто судився там за влови,
Знати також річ бажана,
Але не обов’язкова.
Ні, прошу тепер заїхать
В МУДРЕ ЦАРСТВО ШАРЛЕМАНЯ,
Як огненний сонця віхоть
Прочищає шлях світання.
День надходить зовсім простий,
Тільки трошки дивно, брате,
Що чирки та шилохвости
І не думають тікати.
Мов глибокі, повні чаші,
Розпрозорились озера…
(Це слова, пробач, не наші,
Це Тичини справжня сфера!)
Грає лящ, аж води сині
Срібляним киплять окропом…
Га! Чимало він людині
Оповість під мікроскопом!
Ось підтята деревина
Повалилася на воду:
Це нова сім’я бобрина
Тут попоралась до сходу.
Ху! Це що? Качина зграя
Ним під ноги просто лине…
Від орла вона шукає
Порятунку — у людини. .
..Їдьте, люди, та пошвидше
В мудре царство Шарлеманя!
Будівництво Київського укріпленого району (КіУР) та південної траси тунелю об’єкту №1. Після ліквідації заповідника у тутешніх краях будується Київський укріплений район, що складався з окремих довгочасних вогневих споруд. В урочищі Конча-Заспа передній край південного сектору оборони КіУР виходив до Дніпра. Тут було збудовано довгочасні вогневі точки (ДОТ), з яких дві (№101 та №109) розташовувалися безпосередньо на заплаві.
З метою забезпечення безперешкодної переправи військових ешелонів через Дніпро 1938 р. вирішено було у Києві побудувати два тунелі під Дніпром. І якщо, як вже вказувалося раніше, на північній трасі (титул №14 в урочищі Наталка) війна застала роботи на початковій стадії, то на південному відрізку (титули 1-6) встигли зробити значний об’єм робіт. Будівельні роботи зі спорудження тунелю призвели до суттєвої трансформації узбережжя Дніпра у районі Чернечого (Водників) острова.
Учасник будівництва південного тунелю Самуїл Аронович Ямпольський згадує:
«Роботи велися на лівому і правому берегах Дніпра, а також відкритим способом в районі сіл Пирогів, Віта-Литовська (тепер село Чапаївка) на Жуковому острові, в селах Осокорки і Бортничі. Від станції Жуляни до станції Пирогово планувалося прокласти дві залізничні гілки на відкритій місцевості, далі вони повинні були заходити в підземний тунель, який проходив до Жукова острова з ухилом під русло Дніпра в напрямку острова Водників (800 – метровий фрагмент зберігся). На лівому березі також передбачався поступовий вихід тунелю на поверхню. Тунель закінчувався біля села Бортничі (90 – метровий фрагмент зберігся в районі села Осокорки). Далі гілка проходила під відкритим небом до станції Дарниця. Проектна довжина Південного переходу становила 6,5 км. Планувалося, що поїзди під Дніпром рухатимуться в двох напрямках, а рейки, при необхідності, можна буде закривати дошками так, щоб по ним проходили автомобілі або танки. Будівництво переходу повинно було завершитися в 1944 році.
Все будівництво обох тунелів було розділено на окремі самостійні виробничі об'єкти, так звані« титули»: з № 1 по № 14. Форсування будівельно-монтажних робіт почалося з великого обсягу загально-підготовчих заходів по Південному тунелю, таких як: намивання острівців та берегоукріплення, пристрій центральних складів та інших тимчасових будівель і споруд, забезпечення електроенергією, водопостачанням і зв'язком, будівництво автомобільних і залізничних під'їзних шляхів, житла і багато інше».
Будівництво житла для будівельників (робота була вахтовою) охопило і Жуків острів.
Рис. 2.7.12.47. Схема острова Жуків з позначенням об’єктів будівництва НКШС № 1 та інших історичних об’єктів, за ()
Серед всього іншого, згідно генерального кошторису, для спорудження всіх майданчиків необхідно було намити 667,6 тис. куб. м. ґрунту. За винятком 90 тис. куб. м., це робота була завершена у травні 1939 р. Залишок піску планувалося використати на відсипання дамби через протоку Дніпра – Старик. Роботи з укріплення в основному були закінчені у першому півріччі 1939 р. На друге півріччя 1939 р. до робіт з освоєння майданчиків були включені берегоукріплювальні роботи Безіменного острова (острів Водників –авт.). Роботи на острові могли проводитися тільки при низькому рівні води. Крім того, у листопаді і грудні були передбачені підготовчі роботи зі спорудження тут підводного екрану ().
Під час будівництва № 1 в західній частині колишнього острова Чернечий розташувався титул №4. Сам острів був зменшений, його береги внаслідок гідронамиву були підвищені та укріплені. Так він перетворився на менший сучасний острів Водників. До островів Жукового та Водників було прокладено дамби. Таким чином, острів Водників був фактично перетворений на півострів. Дані зміни в цьому районі не показані на німецькій мапф Києва 1941 р. (будівництво було секретним). Проте вони добре відображені на фрагменті німецького аерофотознімку Києва серпня-вересня 1941 р. Тут добре видно що на північ від зміненого та підвищеного острова Водників знаходяться два малих острови, проте сучасного острова Тополевий ще немає. Імовірно, цей острів відклався пізніше внаслідок зміни процесів накопичення алювію в цьому районі з-за впливу гідронамиву. Адже в цей час було зменшено Чернечий острів та Осокорківську лівобережну косу. А сучасний Тополевий розташувався в акурат між крайніми точками вихідних абрисів цих двох об’єктів.
Цікаво також відмітити, що насипана дамба, яка вела на острів Водників, в той час знаходилася в південній частині острова (наразі ж вона веде до північної частини острова). Первісну дамбу було зірвано німецькими військами під час штурму Києва в 1941 р. (див. ). Від неї лишився прямокутний фрагмент (50.341495°, 30.591872°), що пізніше був використаний для спорудження прямокутної гавані на березі Жукового острова. Порівняння матеріалів часів Другої світової війни та сучасного знімку острова Водників свідчить, що центральна частина острова (50.346653°, 30.592867°) досі лишається у близькому до вихідного стані.
Зі спогадів С.А. Ямпольського:
«До початку Великої Вітчизняної війни становище з будівництвом було наступне:
Титул № 1 (начальник титулу – М.С. Коваленко) на лівому березі Дніпра на південно-заході від села Бортничі. Утворений для будівництва тунелю відкритим способом. Виконані підготовчі роботи.
Титул № 2 (начальник титулу – С. П. Шарков, інженер – Є.Н. Родзевич). Відкритим способом виконано укладання тунелю завдовжки 90 метрів.
Титул № 3 (начальник титулу – Н. Д. Сильвестров, інженер – М.М. Синиця). Змонтовано й опущена тунельно-кесонна секція, розпочата проходка в бік титулу № 2.
Рис. 2.7.12.49. Резервуар для зберігання води титулу № 3, на лівому березі Дніпра територія масиву Нижні Сади 2005 р. (121 вулиця) ()
Титул № 4 (до аварії начальник титулу – А.П. Бурмистров). До початку 1941 року змонтована і опущена тунельно-кесонна секція, розпочато підземна проходка в бік титулу № 3. Після аварії в лютому 1941 р. з протилежної сторони щита титулу всі прохідники також переведені на аварійні роботи. Титанічна праця колективу дозволив до початку липня 1941 року повністю ліквідувати аварію. Але вже почалася Велика Вітчизняна війна.
Титул № 5 (начальник титулу – І.Ю. Баренбойм, інженер – Е.Е. Майрановський): змонтована і опущена тунельно-кесонна секція і пройдено до лютого 1941 року в бік титулу № 6 тунель довжиною близько 240 м.
Титул № 6 (начальник титулу – І.Л. Москальов): тунель, побудований відкритим способом, досяг довжини 700 м».
Рис. 2.7.12.53. Будинок душкомбінату титулу №6, що донедавна ще стояв на Жуковому острові (Фото за )
Зауважимо, що ще один бетонний резервуар для води виявлений В. Дзівалтовським в районі Харківської площі у лісі за училищем МВС. Що ж стосується шахт, то це були грандіозні споруди. Їх горловини мали 8 м у діаметрі і були скріплені металевими кільцями. Одна така засипана сміттям шахта титлу №5 досі зберігається на Жуковому острові. Друга – титулу №4 – знаходиться на території острова Водників (її вхід перекрито залізними листами та засипано землею (Дзівалтовський, особисте повідомлення, 2011).
Незважаючи на початок війни, будівництво тунелів тривало і у липні 1941 р. Лише в кінці липня надійшла команда терміново законсервувати будівництво. Дорогі прохідницькі щити, захищені шаром технічного мастила, і чавунні тюбінги затопили, техніку і обладнання вивезли залізничними потягами, обладнання, що залишилося засипали землею ().






















































